
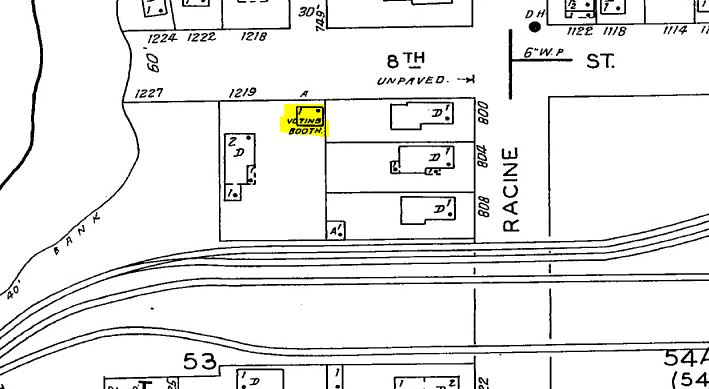
Cara Bradshaw noticed a small booth in Dennis Tully’s photo of Bradley Grocers and I remembered that I had seen an odd little “voting booth” marked on a Sanborn map … and I found it. These voting booths seem to be from a time where people voted ward by ward, and some wards did not have a public building for voting booths.